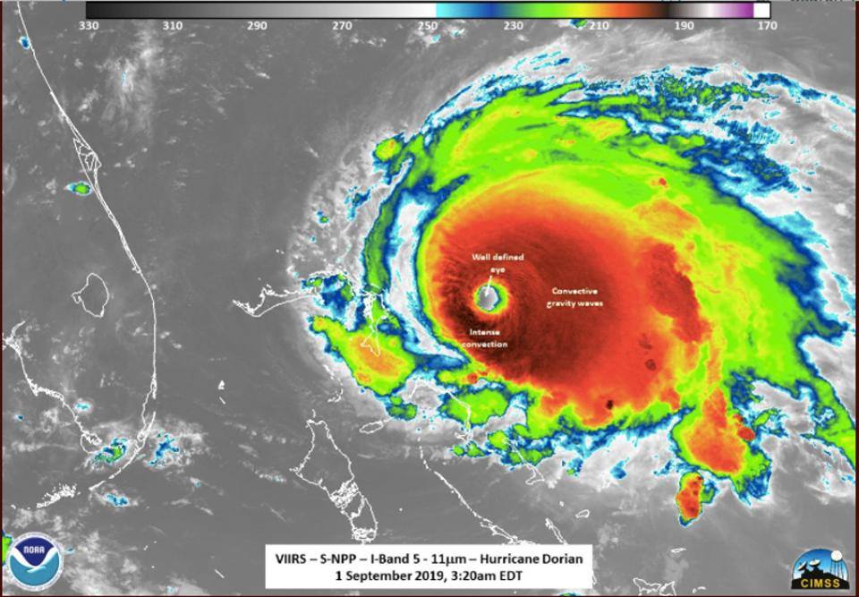
भदौ १६, एजेन्सी । शक्तिशाली मानिएको डोरिअन समुद्री आँधी अमेरिकाको उत्तर पश्चिमी बहमासमा पुगेको छ ।

प्रतिघण्टा दुई सय ८५ किलोमिटरको वेगमा रहेको डोरिअन क्याटगरी पाँचको शक्तिशाली समुद्री आँधी हो । आँधीले बहमासको अबाको द्वीपमा पनि आतंक मच्चाएको छ । आँधीका कारण भूस्खलन हुँदा कैँयौ घरमा क्षति पुगेको छ ।
बहमासको पर्यटन मन्त्रालयका महानिर्देशकले भने, ‘डोरेन आँधीका कारण अहिलेसम्म कसैको ज्यान गएको खबर प्राप्त भएको छैन ।
यद्यपि आँधीका कारण बहमासमा २९५ किलोमिटर प्रतिघण्टाको रफ्तारमा आँधीसँगै भूस्खलन भएको छ ।
अब यो आँधीले फ्लोरिडामा आतंक मच्चाउन सक्छ, यसर्थ पहिले नै ‘अलर्ट’ गरिएको छ ।’ अमेरिकी राज्यहरु फ्लोरिडा, जर्जिया, उत्तर र दक्षिण क्यालिफोर्नियामा आपतकाल घोषणा गरिएको छ ।
आँधीका कारण कतिपय ठाउँमा बत्ती छैन भने कतिपय ठाउँमा इन्टरनेट सेवा पनि सुस्त छ । चक्रवाती आँधी डोरन द्रूत गतिमा अमेरिकाको फ्लोरिडा राज्यतर्फ बढिरहेको छ ।
अमेरिकी राष्ट्रपति डोनाल्ड ट्रम्पले पनि आँधीलाई मध्यनजर गर्दै आफ्नो पोल्याण्ड भ्रमण पनि रद्द गरेका छन् ।



